Vlog #2 2026 Eendenpullenbrug
Tijdens deze Vlog vertelt Harry Kel en Joost van Leeuwen over de Eendenpullenbrug.
Tijdens deze Vlog vertelt Harry Kel en Joost van Leeuwen over de Eendenpullenbrug.
Feestelijke opening Eendenpullenbrug in Oostzaan
Inhijsen giek torenkraan
Ontwerp
Fietsroute Oostzanerdijk / Verlengde Stellingweg / Skoon tijdelijk afgesloten.
Op 30 maart heeft zich een ernstig en tragisch ongeval voorgedaan op de bouwplaats van de Gé Frankentunnel.
Plaatsing laatste twee brugdelen over de N516 (Thorbeckeweg)
Eerste betonstort van 1 April is UITGESTELD tot nader bericht
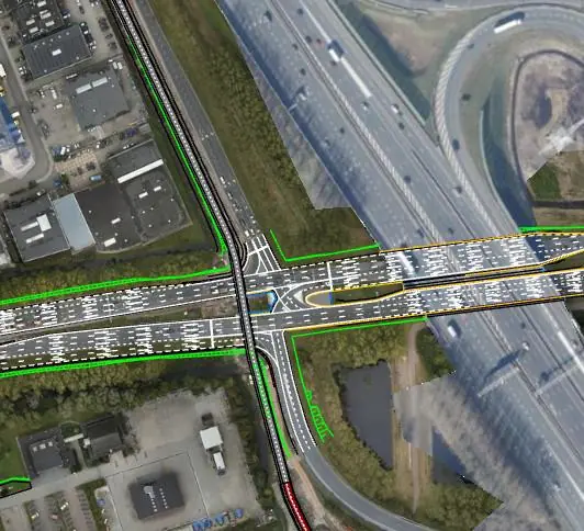
Herinrichting Kruispunt afrit en toerit A8
Het kruispunt Ambacht krijgt een nieuwe indeling.

Ontgraving Bouwkuip.
Werkzaamheden voor realisatie fietstunnel Skoon en verbetering van de Verlengde Stellingweg
Belijning opfrissen N516 en Verlengde stellingweg
Duikwerkzaamheden bouwkuip – gezamenlijke oefening
Schoolopdracht in samenwerking met Boskalis
Inhijsen brugdelen langs afrit A8

Hoe bouwt Boskalis de Gé Frankentunnel
Verwijderen damwanden
Woon of werk jij in de buurt van onze werkzaamheden? Deel nu jouw mening met ons
PIP gesloten op eerste kerstdag en nieuwjaarsdag
Vanaf vandaag kunt u gebruikmaken van het vernieuwde en veiligere kruispunt!
Nachtafsluitingen voor openstelling kruispunt Noorder IJ- en Zeedijk / Sluispolderweg
Eerste deel voetpad Kruispunt Noorder-IJ en Zeedijk open
Nieuwe Kippenbrug geopend