De Plesmanlaan (als onderdeel van het project Leidse Ring Noord – Plesmanlaan) verandert binnenkort flink. We hebben al behoorlijk wat werkzaamheden verricht de afgelopen periode, maar begin november gaat een nieuwe fase van het werk in.
De afgelopen periode zijn we hoofdzakelijk bezig geweest met het verleggen van kabels en leidingen. Ook zijn we recentelijk gestart met de fundering van de eerste onderdoorgang voor voetgangers en fietsers: de onderdoorgang Vondellaan. Langs de Plesmanlaan, aan de kant van het Motorhuis, zijn we gelijktijdig aan het werk om een tijdelijke weg/fasering te realiseren; de bypass.
Hierbij informeren wij u over de zogeheten ombouwweek van de Plesmanlaan (met een afsluiting van de Plesmanlaan) voorafgaande aan de ingebruikname van de bypass vanaf vrijdagavondavond 7 november.
WERKZAAMHEDEN EN VERKEERSMAATREGELEN
1. Vrijdagochtend 31 oktober 07.00 uur – maandagochtend 3 november 10.00 uur
- Afsluiting Vondellaan voor auto’s.
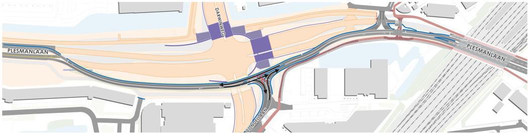
- Omleidingsroutes worden duidelijk aangegeven met bebording. Zie kaartje fase 1.
- Buslijn 1 en 2 krijgen aangepaste routes; check zhn.qbuzz.nl/omleidingen-en-verstoringen.
- Werkzaamheden: o.a. asfalt frezen en riolering aanbrengen Vondellaan
2. Maandagochtend 3 november 10.00 uur – dinsdagavond 4 november 20.00 uur
- Afsluiting Plesmanlaan voor auto’s tussen Darwinweg-Schipholweg, inclusief Vondellaan.
- Omleidingsroutes worden duidelijk aangegeven met bebording. Zie kaartje fase 2.
- Buslijn 1 en 2 én R-net Leiden-Katwijk krijgen aangepaste routes, check zhn.qbuzz.nl/omleidingen-en-verstoringen.
- Werkzaamheden: o.a. bouw oversteek fietsers en voetgangers, aanbrengen verkeersmaatregelen en verkeerslichten, verplaatsen van ANWB-borden en plaatsen openbare verlichting.
3. Dinsdagavond 4 november 20.00 uur – vrijdagavond 7 november 20.00 uur
- Afsluiting Plesmanlaan voor auto’s tussen Einsteinweg-Schipholweg, inclusief Vondellaan en Darwinweg.
- Omleidingsroutes worden duidelijk aangegeven met bebording. Zie kaartje fase 3.
- Buslijn 1 en 2 én R-net Leiden-Katwijk krijgen aangepaste routes, check zhn.qbuzz.nl/omleidingen-en-verstoringen.
- Werkzaamheden: o.a. bouwen aansluitingen bypass op de Plesmanlaan, oversteek fietsers en voetgangers, aanbrengen verkeersmaatregelen en verkeerslichten, verplaatsen van ANWB-borden en plaatsen openbare verlichting.
4. Vrijdagavond 7 november 20.00 uur – kwartaal 2, 2027 || ingebruikname bypass
- Plesmanlaan weer open voor auto’s met een bypass tussen Einsteinweg-Schipholweg met één rijstrook per rijrichting.
- Snelheid 30 km/uur.
- Veilige oversteek voor fietsers en voetgangers tegenover HuurMij.
- De Vondellaan kan alleen nog rechtsaf ingereden worden vanaf de Plesmanlaan en rechtsaf uitgereden worden naar de Plesmanlaan. Omleiding via Dr. Lelylaan (N206). Bij de Vierlinghlaan worden verkeerslichten geplaatst voor een betere doorstroming de wijk in en uit.
- De Darwinweg is afgesloten vanaf de Plesmanlaan. Naturalis blijft bereikbaar via Einsteinweg en Zernikedreef.
- Buslijn 1 en 2 krijgen aangepaste routes; check zhn.qbuzz.nl/omleidingen-en-verstoringen.
- Op een later moment worden twee knips aangebracht voor auto’s in het Bio Science Park. Eén op de Silviusweg tegen de Wassenaarseweg aan en één bij de rotonde Albinusdreef bij de parkeergarage van het LUMC. Doorgaand autoverkeer tussen de Zernikedreef/Sandifortdreef en de Wassenaarseweg is door deze knips niet meer mogelijk. Dit doen we voor een betere bereikbaarheid en veiligheid.
- De parkeergarage van het LUMC blijft met deze knips bereikbaar voor auto’s vanaf de Sandifortdreef én de Wassenaarseweg/Posthofrotonde.
OMLEIDINGEN
We stellen diverse omleidingen in. U wordt hierin met bebording geïnformeerd. Ook worden de afsluitingen en omleidingen opgenomen in de erkende navigatiesystemen (Google Maps, Waze, tomtom, etc.).
Per fase is voor u als weggebruiker een omleidingskaartje opgemaakt. U vindt deze 4 kaartjes in het bijgesloten PDF- document onderaan dit bericht.
FIETS- EN VOETGANGERSOVERSTEEK
Fietsers en voetgangers ondervinden geen extra hinder tijdens de realisatie van de bypass. Een aantal fiets- en voetpaden rondom de Plesmanlaan zijn al afgesloten vanaf afgelopen februari. Hier zijn omleidingen voor ingesteld en dat blijft zo. Vanaf zaterdag 8 november wordt de extra oversteek voor fietsers en voetgangers met verkeerslichten ter hoogte van de HuurMij in gebruik genomen. Langzaam verkeer kan hier veilig oversteken.
WAAROM DE BYPASS?
Deze aanpassingen van de weg zijn nodig om de nieuwe fietsonderdoorgangen onder de Plesmanlaan en Darwinweg te bouwen en daarna ook de nieuwe wegen. Door het verkeer tijdelijk om onze bouwwerkzaamheden heen te leiden, kunnen we veilig en efficiënt het werk uitvoeren. Hier gaan we vanaf vrijdag 7 november 20.00 uur mee beginnen. Dan verandert de verkeerssituatie op de Plesmanlaan voor een periode van ongeveer anderhalf jaar, tot half 2027. De kruising met de Darwinweg komt te vervallen en de kruising met de Vondellaan wijzigt.
Samen met de gemeente Leiden en de nood- en hulpdiensten is uitvoerig nagedacht en afgestemd over bovengenoemde verkeersmaatregelen. We hebben de bypass met verkeersmaatregelen zo ingericht dat het verkeer het beste doorstroomt. We vragen u vriendelijk rekening te houden met omleidingen en mogelijk wat extra reistijd. Samen zorgen we voor een veilige en bereikbare stad.
VRAGEN?
Heeft u nog vragen over de werkzaamheden of over de afsluitingen en omleidingen? U kunt deze per e-mail stellen op omgeving.plesmanlaan@boskalis.com
Of wees welkom, zolang er belangstelling is, op het wekelijkse inloopspreekuur dat start op dinsdag 14 oktober. Tijd: tussen 16.00 en 17.00 uur. Plaats: projectkantoor Boskalis, Plesmanlaan 2.
Meer informatie over het project vindt u op: Leiden.nl/Plesmanlaan

