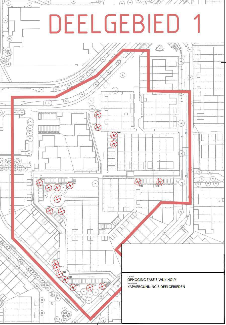
Deelgebied 1, kap bomen
In de week van 30 mei starten de werkzaamheden voor het verwijderen van de grote bomen ten behoeve van het werk "Ophoging Holy fase 3" in deelgebied 1. Een aantal bomen binnen het werkgebied komen helaas te vervallen, hiervoor heeft de gemeente de kapvergunning aangevraagd en ontvangen. Hiervoor komen na de werkzaamheden nieuwe bomen terug, conform het beplantingsplan (zie hiervoor de gekleurde tekening).
Voorafgaand aan de kapwerkzaamheden heeft onze ecoloog meerdere malen een inspectie uitgevoerd en tot nu toe geen broedende vogels aangetroffen. Daags voor de start van de kapwerkzaamheden zal hij nog een laatste inspectie uitvoeren om zeker te zijn dat er geen broedende vogels worden verstoord.


